Skip To Content

103 Lake View Drive

Pomona Park, FL 32181
  • $15,000
  • STATUS: Active
  • ON SITE: 154 Days
  • MLS #: 2104646
UPDATED: 58 min ago
$15,000
  • 0
    BEDS
  • 0.31
    ACRES
  • 0
    BATHS
  • 0
    1/2 BATHS
Neighborhood:
Type:
Vacant Land / Lots
County:

School Ratings & Info

Description

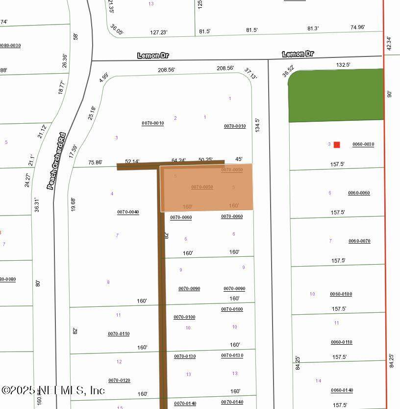
Discover your future in the tranquil and picturesque town of Pomona Park, Florida! This beautiful .30-acre vacant lot offers the perfect blend of peaceful, rural living and exciting future growth. Located in a quiet and established area of town, you'll enjoy a serene escape from the hustle and bustle. This property is also a strategic investment, as it's just a short drive from Welaka, the ''Bass Capital of the World,'' which is a potential site for a new Bass Pro Shops resort development. This highly anticipated project is expected to bring significant economic and recreational opportunities to the area, making this lot's location even more desirable. Whether you're looking to build your permanent residence, a weekend fishing retreat, or make a smart investment, this lot has it all. What makes this opportunity even better is that the owner has a total of four adjoining lots available. You can purchase them all together to create a spacious 1.2-acre homesite.

Monthly Payment Calculator



© 2026 Northeast Florida Multiple Listing Service, Inc. All rights reserved. The data relating to real estate for sale on this web site comes in part from the Internet Data Exchange (IDX) program of the Northeast Florida Multiple Listing Service, Inc. Real estate listings held by brokerage firms other than JPAR City and Beach are marked with the listing broker’s name and detailed information about such listings includes the name of the listing brokers. Data provided is deemed reliable but is not guaranteed. Data last updated 2026-01-21T12:24:51.643.

Digital Millennium Copyright Act
www.search904homes.com/homes/167044384
Print Image

103 Lake View Drive Pomona Park, FL 32181

  • Price: $15,000
  • Status: Active
  • On Site: 154 Days
  • Updated: 58 min ago
  • MLS #: 2104646
0
Beds
0
Baths
0
½ Baths
0.31
Acres
Neighborhood:
Hamilton Hills
County:
Putnam
Area:
582-POMONA PK/WELAKA/LAKE COMO/CRESCENT LAKE EST
Property Description
Discover your future in the tranquil and picturesque town of Pomona Park, Florida! This beautiful .30-acre vacant lot offers the perfect blend of peaceful, rural living and exciting future growth. Located in a quiet and established area of town, you'll enjoy a serene escape from the hustle and bustle. This property is also a strategic investment, as it's just a short drive from Welaka, the ''Bass Capital of the World,'' which is a potential site for a new Bass Pro Shops resort development. This highly anticipated project is expected to bring significant economic and recreational opportunities to the area, making this lot's location even more desirable. Whether you're looking to build your permanent residence, a weekend fishing retreat, or make a smart investment, this lot has it all. What makes this opportunity even better is that the owner has a total of four adjoining lots available. You can purchase them all together to create a spacious 1.2-acre homesite.
Exterior Features

Fencing [] Lot Features Wooded Other Structures [] Pool Features [] Road Surface Type [] View [] Waterfront Features [] Waterfront YN No

Property Features

Association Amenities [] Association Fee Includes [] Association YN No Cdd Fee YN No Current Use Unimproved Electric [] Listing Terms CashConventional Possession Close Of Escrow Property Sub Type Unimproved Land Security Features [] Senior Community YN No Sewer [] Utilities Other Water Source [] Zoning Agricultural

Listing courtesy of IHEART REALTY INC: 386-546-8571.


© 2026 Northeast Florida Multiple Listing Service, Inc. All rights reserved. The data relating to real estate for sale on this web site comes in part from the Internet Data Exchange (IDX) program of the Northeast Florida Multiple Listing Service, Inc. Real estate listings held by brokerage firms other than JPAR City and Beach are marked with the listing broker’s name and detailed information about such listings includes the name of the listing brokers. Data provided is deemed reliable but is not guaranteed. Data last updated 2026-01-21T12:24:51.643.

Digital Millennium Copyright Act
 
Logo
JPAR City and Beach
9700 Philips Hwy Suite 106
Jacksonville FL, 32256